Информационная система
«Ёшкин Кот»

XXXecatmenu

ВСЕСОЮЗНЫЙ НАУЧНО-ИССЛЕДОВАТЕЛЬСКИЙ ИНСТИТУТ
ТРАНСПОРТНОГО СТРОИТЕЛЬСТВА

РЕКОМЕНДАЦИИ
ПО РЕГУЛИРОВАНИЮ ПОТОКА
НА МОСТОВЫХ ПЕРЕХОДАХ ЧЕРЕЗ РЕКИ
С МЕАНДРИРУЮЩИМИ РУСЛАМИ

Одобрены Главтранспроектом

Москва 1978

ПРЕДИСЛОВИЕ

В настоящих Рекомендациях, предназначенных для использования при проектировании, рассматриваются методы регулирования потока на мостовых переходах через реки с меандрирующими руслами.

В работе приведены рекомендации по выбору места перехода, а также размещению и назначению отверстий в зависимости от типа меандрирования русел; методы учета косого пересечения пойменного потока подходами при расчете дамб и определения скоростей течения вдоль пойменных насыпей; метод расчета размывов у закрепленных вогнутых берегов.

Работа выполнена в соответствии с программой решений научно-технической проблемы 0.85.01 «Разработать научно-технические основы и комплекс мероприятий по улучшению использования водных ресурсов и охраны вод», утвержденной Постановлением Государственного комитета Совета Министров СССР по науке и технике № 435 от 10 декабря 1976 г.

Рекомендации разработаны в лаборатории мостовой гидравлики и гидрологии отделения изысканий и проектирования железных дорог ЦНИИС кандидатами техн. наук В.Ш. Цыпиным и Л.Г. Бегамом при участии инж. Н.Д. Мойжес под общим руководством и при участии канд. техн. наук В.В. Невского.

Зам.директора института                                                         Н.Б. СОКОЛОВ

Руководитель отделения

изысканий и проектирования железных

дорог                                                                       А.М. КОЗЛОВ

1. ОБЩИЕ ПОЛОЖЕНИЯ

1.1. Основной задачей регулирования потока на мостовых переходах является обеспечение устойчивости сооружений перехода при воздействии водных потоков. В решение этой задачи входит назначение отверстий и местоположения мостов, компоновка регуляционных сооружений, определение размеров и типа укрепления берегов, подходов и других сооружений мостового перехода на основе прогнозирования глубинных и плановых деформаций.

1.2. Проектные решения по регулированию потока на мостовых переходах принимают по результатам технико-экономического сравнения вариантов. В сложных морфологических и гидрологических условиях задачи регулирования потока целесообразно решать на основе физического моделирования. Необходимый объем исходных данных для моделирования, а также возможности и необходимый размер экспериментальных установок рассмотрен в работе [1].

1.3. При проектировании регуляционных сооружений, обеспечивающих устойчивость мостового перехода от воздействия водных потоков, необходимо учитывать русловой процесс на пересекаемом водотоке.

Тип руслового процесса устанавливают по классификации Государственного гидрологического института (ГГИ) в зависимости от водного режима реки, стока наносов, рельефа и геологического строения речной долины [2].

Меандрирование является наиболее распространенной нормой плановых переформирований излучин рек, имеющих пойму. Различают свободное, незавершенное и ограниченное меандрирование. Признаки и особенности, характеризующие рассматриваемые типы русловых процессов, приведены в приложении.

1.4. Меандрирующие русла рек следует пересекать в местах, где излучина прижата к одному из бортов долины, а мощная пойма располагается у выпуклого берега.

Створ перехода располагают перпендикулярно к направлению руслового потока.

Повороты трассы в пределах пойм должны быть обоснованы соответствующими технико-экономическими расчетами.

Повороты трассы на пойме вниз по течению от створа перехода не рекомендуются. При угле поворота вверх по течению возможно сокращение размеров струенаправляющей дамбы (п. 3.4), но обычно возникает необходимость в разработке дополнительных мероприятий по защите верхового откоса подходов от воздействия скоростей потока вдоль насыпи.

1.5. Свободно меандрирующие русла желательно пересекать в старых хорошо выраженных излучинах (меандрах) с углом разворота излучины aи > 200°. В этом случае русло пересекают в середине излучины (рис. 1).

Выбор створа пересечения развивающейся излучины назначают в зависимости от интенсивности плановых деформаций свободно меандрирующего русла. Для избежания неблагоприятных русловых деформаций створ перехода приближают к перекату - точке перегиба смежных излучин (см. рис. 1).

1.6. При незавершенном меандрировании, а также при узком перешейке между ближайшими к перекату излучинами свободно меандрирующего русла целесообразность расположения моста на излучине или искусственном русле решаема на основе технико-экономического сравнения. При варианте моста на излучине необходимо закреплять сближающиеся вогнутые берега меандров с верховой и низовой стороны перехода.

При незавершенном меандрировании расположению моста на спрямляющем протоке следует отдавать предпочтение при  > 0,4, где Qиз, Qпр - расход, проходящий соответственно в излучине и в спрямляющем протоке.

Рис. 1. Пересечение свободно меандрирующих русел:

1 - положение русла во время изысканий переходов; 2 - положение деформируемых берегов за период эксплуатации перехода; 3 - пересечение старой излучины; 4 - то же развивающейся излучины

1.7. Створ перехода через реки с ограниченно меандрирующими руслами желательно назначать ближе к середине излучины к низовой ее половине.

2. РАЗМЕЩЕНИЕ И НАЗНАЧЕНИЕ ОТВЕРСТИЙ

2.1. На переходах через меандрирующие русла отверстие моста следует назначать не менее ширины разработанного русла на пересекаемой излучине.

2.2. При необходимости устройства пойменных пролетов пойменную часть отверстия желательно назначать со стороны выпуклого берега, к которому примыкает мощная пойма.

Увеличение отверстия в сторону выпуклого берега при мощной пойме у вогнутого не рекомендуется, так как это вызовет удорожание перехода за счет устройства дополнительных сооружений для включения в работу пойменной части отверстия со стороны выпуклого берега.

2.3. На переходах через свободно меандрирующие русла пойменная часть отверстия со стороны вогнутого берега должна быть не менее ширины смещения береговой линии в створе перехода. При этом ось русла в отверстии за время эксплуатации перехода не должна отклоняться от своего первоначального положения более чем на 15° (рис. 2).

Рис. 2. Назначение пойменной части отверстия моста у вогнутого берега с учетом плановых деформаций свободно меандрирующего русла:

1 - направление руслового потока до деформации берегов; 2 - то же после деформации; 3 - опора; 4 - положение берега на момент постройки моста; 5 - то же после деформации; 6 - размещение отверстия, при котором угол набегания потока на опору в процессе эксплуатации меняется более чем на 15°; 7 - то же, при изменении угла менее 15°

Расчет плановых деформаций свободно меандрирующих русел приведен в пп. 2.6 - 2.9.

2.4. На переходах через реки с ограниченно меандрирующими руслами при интенсивном русловом процессе, когда за время эксплуатации моста сползание излучины будет более половины ее шага, отверстие моста можно назначать с минимально возможным перекрытием поймы (из условия размывов под мостом). При этом требуется закреплять подмываемые вогнутые берега верховой и пересекаемой трассой излучин (рис. 3).

Рис. 3. Схема перехода через реку с ограниченно меандрирующим руслом:

1 - трасса перехода; 2 - закрепление вогнутых берегов излучин; 3 - положение русла во время изысканий перехода; 4 - то же после прогнозируемого смещения

Для малых и средних рек с узкой глубокой долиной возможен вариант перекрытия мостом всего пояса меандрирования. В этом случае размываемые вогнутые берега не укрепляют.

2.5. Размер отверстия моста на искусственном русле (при свободном меандрировании) и спрямляющем протоке (при незавершенном меандрировании) не должен быть менее ширины разработанного русла на прямом участке реки.

На спрямляющем протоке может быть рассмотрен вариант моста на ширину русла с закрепленным подмостовым сечением. Рекомендации по расчету укреплений подмостового русла приведены в работе [3].

2.6. При проектировании переходов через реки с меандрирующими руслами следует учитывать прогноз темпов смещения излучин у перехода.

Темп смещения береговой линии следует определять совмещением двух разновременных съемок нескольких излучин русла. На основании этих данных среднюю скорость смещения находят по формуле

                                                              (1)

где  - сумма всех площадей размыва на исследуемом участке русла;

 - сумма длин размываемых берегов;

DT - период между двумя совмещенными съемками русла.

2.7. Если съемочного материала нет (или его недостаточно), плановые деформации русла допускается определять аналитическими методами в зависимости от типа руслового процесса.

2.8. При свободном меандрировании русла графическое построение предполагаемого планового очертания излучины осуществляют, исходя из следующих положений: в любом поперечнике, нормальном к средней линии русла, береговая линия смещается со временем в сторону линии наибольших глубин; величина смещения береговой линии Уб; в данном поперечнике пропорциональна наибольшей глубине на этом поперечнике, скорости смещения береговой линии в точке наибольших плановых деформаций на данном участке реки, интенсивности развития излучины и сроку прогнозирования.

Расчет выполняют по формуле

                                                         (2)

где С - наибольшая скорость смещения береговой линии в точке наибольших плановых деформаций, м/год, которую рекомендуется принимать с учетом запаса; С = 4Сср, здесь Cср - средняя скорость смещения береговой линии, определяемая по рекам-аналогам, приведенным в НИМП-72 [4] и в работе [3];

Киз - коэффициент скорости развития излучины, зависящий от угла разворота aи или отношения длины S излучины к ее шагу λu (табл. 1);

Т - число лет срока прогнозирования величины смещения;

hп - наибольшая глубина на рассматриваемом поперечнике, м;

hм - наибольшая глубина плеса данной излучины, м;

ho - средняя глубина двух перекатов, ограничивающих данную излучину, м.

Глубины hп, hм и hо отсчитывают от уровня средней межени.

Наибольшее смещение береговой линии Уб(max), следует определять по формуле

Уб(max) = CКизТ.                                                               (3)

Время образования допускаемого смещения Уб(max) бровки берега свободно меандрирующего русла определяют по формуле

                                                               (4)

Таблица 1

au°

70

90

110

120

130

135

137

145

155

165

175

185

190

200

210

220

230

Su

1,20

1,25

1,30

1,32

1,36

1,42

1,44

1,50

1,60

1,65

1,74

1,83

1,94

2,12

2,40

2,60

2,80

Киз

0,04

0,08

0,16

0,24

0,40

0,65

0,80

0,97

1,00

0,96

0,80

0,60

0,44

0,24

0,09

0,06

0,03

В силу значительного изменения Киз от угла разворота излучины au и отношения Su расчет по формулам (2) - (4) выполняют, разделяя период Т лет на отрезки времени по 10 - 30 лет в зависимости от величины С и срока прогнозирования.

Расчет и построение линии деформированного берега производят сначала для первого отрезка времени и определяют конечное значение au или Su, для которых по табл. 1 находят новое значение Киз. Затем производят расчет и построение линии деформации берега для следующего отрезка.

2.9. При ограниченном меандрировании русла происходит смещение вниз по течению пологих излучин (au 60°) без изменения их плановых очертаний. Среднее смещение излучин определяют по формуле

 м,                                                            (5)

где qиз - средний за расчетное время погонный расход наносов в излучине русла, кг/с×м; определяют согласно рекомендациям НИМП-72 [4];

Трасч - расчетное время, в течение которого при среднем (Р = 50 %) паводке средняя скорость течения в русле превышала неразмывающую, с;

g - объемная масса грунта в естественном залегании, кг/м3;

Нл - средняя за расчетное время глубина воды в плесовой лощине на протяжении вогнутого берега.

2.10. Пример. Определить наиболее рациональное положение трассы мостового перехода через излучину свободно меандрирующего русла шириной 100 м. Параметры излучины: шаг λu = 620 м, длина S = 1200 м (рис. 4). При средней межени наибольшая глубина плеса hм = 4,8 м, средняя глубина двух перекатов hо = 0,8 м, а наибольшая глубина в любом поперечнике излучины, расположенном вдоль оси излучины на расстоянии X от ближайшего переката, может быть определена как hп = 2  Х.

По разновременным съемкам участка реки средняя скорость деформации излучины определена Сор = 2 м/год.

Для нахождения места перехода через данную излучину, удовлетворяющего п. 2.3 настоящих Рекомендаций, определим плановые деформации излучины за период эксплуатации моста (Т = 100 лет).

Рис. 4. Выбор места перехода через свободно меандрирующее русло:

1 - прогнозируемое положение оси русла через 33 года; 2 - то же через 66 лет; 3 - то же через 100 лет; 4 - зоны, где ось русла за 100 лет не меняет своего положения более чем на 15°

Расчет деформаций излучины будем выполнять для поперечников I (посередине излучины) и II - на расстоянии Х = 300 м от ближайшего переката (см. рис. 4) и для отрезков времени через 33 года.

Наибольшая скорость смещения береговой линии С = 4Сср = 4 × 2 = 8 м/год.

1. Т = 33 года. При  = 1,94 по табл. 1 находим Киз = 0,44. По формуле (3) определим смещение береговой линии для створа I Уб(max) = 8 × 0,44 × 33 = 116 м.

Для створа II предварительно определим наибольшую глубину

 м.

а затем по формуле (2) определим смещение береговой линии

Уб = 8 × 0,44 × 33  ≈ 35 м.

По данным трех створов для верховой и низовой излучины (створы I, II и перекат, где Уб = 0) строим линию смещения оси излучины за Т = 33 года (см. рис. 4)1.

1 Ось излучины смещается на такое же расстояние, как и береговая линия в том же створе.

2. Т = 66 лет. По плану (см. рис. 4) определяем длину излучины через 33 года S = 1400 м, при  = 2,25 по табл. 1 находим (интерполяцией) Киз = 0,17. Тогда соответственно по формулам (3) и (2) получим смещение береговой линии в период между 33 и 66 годами

Уб(max) = 8 × 0,17 × 33 ≈ 45 м;

Уб = 8 × 0,17 × 33  ≈ 14 м.

По полученным данным о деформации вогнутого берега за следующий период в 33 года строим на плане линию смещения оси излучины за Т = 66 лет (см. рис. 4).

3. Т = 100 лет. Аналогично предыдущему расчету получаем:

S = 1450;  = 2,33; из табл. 1 Киз = 0,13 и

Уб(max) = 8 × 0,13 × 34 ≈ 35 м;

Уб = 8 × 0,13 × 34  ≈ 11 м.

По нанесенному на план участка реки прогнозированному смещению оси излучины определяем зоны, где ось русла за период эксплуатации перехода не меняет своего положения более чем на 15°. Мостовой переход должен пересекать излучину в указанных зонах. При этом с точки зрения глубинных и плановых деформаций зоны, примыкающие к перекатам, будут наиболее рациональными для перехода.

3. РЕГУЛИРОВАНИЕ ПОЙМЕННОГО ПОТОКА

3.1. К основным задачам регулирования пойменного потока на мостовых переходах относятся:

подведение и направление пойменного потока под мост, при котором обеспечиваются наиболее благоприятные условия размыва (равномерное распределение потока по всему подмостовому сечению);

защита подходов от воздействия ветровых доли и потока вдоль насыпи.

Направление пойменного потока под мост должно осуществляться струенаправляющими дамбами. Мероприятия по защите подходов заключаются в укреплении откосов и устройстве поперечных сооружений.

3.2. Если трасса перехода пересекает долину под прямым углом, струенаправляющие дамбы рассчитывают согласно НИМП-72 [4].

При устройстве прямолинейных незатопляемых дамб величину отжима потока от устоев моста находят согласно рекомендациям, приведенным в работе [1].

3.3. Когда один из подходов к мосту направлен в низовую сторону, плановые размеры эллиптической дамбы, примыкающей к этому подходу, принимают такими же, как при нормальном пересечении долины.

3.4. Когда подход к мосту направлен в верховую сторону, проекцию верховой криволинейной струенаправляющей дамбы bв на плоскость (рис. 5), перпендикулярную направлению течения потока на пойме в бытовых условиях, определяют по формуле

bв = jbв,                                                                 (6)

где bв - проекция верховой дамбы на ось пути (ширина разворота) при нормальном пересечении долины подходом;

j - коэффициент уменьшения ширины разворота верховой дамбы bв за счет косины подхода, направленного вверх по течению.

Коэффициент j следует определять по формуле

j = j0                                                    (7)

где j0 - коэффициент, учитывающий наличие пойм в створе перехода: при односторонней пойме j0 = 1; двусторонней пойме

j0 =

Qрб, Qп и Qпмб - расход воды, проходящей в оптовых условиях соответственно в русле, на пойме (косопересекаемой подходом) и на ширине пойменной части отверстия со стороны рассматриваемой поймы;

Qп - расход воды, проходящей в бытовых условиях по рассматриваемой пойме и регулируемой струенаправляющей дамбой (см. п. 3.5);

z - показатель степени, принимаемый для двусторонней поймы 0,685, односторонней 0,95.

Рис. 5. Параметры струенаправляющих дамб:

1 - граница разлива; 2 - положение пойменного подхода, направленного вверх по течению; 3 - то же при нормальном переходе; 4 - струенаправляющая дамба при нормальном переходе; 5 - то же при косом переходе; 6 - русло

Для определения коэффициентов j и j0 рекомендуется пользоваться графиком (рис. 6).

Рис. 6. График для определения j и j0

1 - двусторонняя пойма; 2 - односторонняя пойма

Соотношение полуосей эллиптической дамбы  = К при косом пересечении пойменного потока подходами определяют по НИМП-72 в зависимости от коэффициенте стеснения δ, при расчете которого расход воды, проходящей в бытовом состоянии на части рассматриваемой поймы, перекрытой насыпью, равен Qпер = Qп - Qпмб.

3.5. При определении величины пойменного расхода, регулируемого дамбой, необходимо учитывать, что подход, направленный вверх по течению, отжимает пойменный поток в русло. Поэтому струенаправляющая дамба регулирует только часть пойменного потока Qп, определяемого в зависимости от пойменных частей отверстия:

при отсутствии пойменной части отверстия (мост перекрывает только русло)

Qп = Qп - Rп Qрб;                                                         (8)

при односторонней пойменной части отверстия

Qп = Qп - Q ;                                                          (9)

при двусторонней пойменной части отверстия

                                                      (10)

где

μ = Qп - Q ;                                                          (11)

j = Q Qп(в);                                                          (12)

Q - расход воды в расчетный паводок;

Qп(в) - расход воды, проходящей в бытовых условиях на пойме, которую трасса пересекает нормально пойменному потоку;

Rп - коэффициент уменьшения загрузки пойменной части отверстия со стороны подхода, косорасположенного к пойменному потоку;

Rп = 0,15 δп,                                                           (13)

δп - коэффициент продольного стеснения поймы (см. п. 3.6);

R - коэффициент увеличения руслового расхода в отверстии моста по сравнению с бытовыми условиями, определяемый по формуле [5]

.                                                     (14)

Здесь

                                                 (15)

vрб, vб - средняя скорость потока при отсутствии стеснения соответственно в русле и по всему живому сечению;

g - ускорение силы тяжести;

iб - продольный уклон водной поверхности нестесненного потока;

Lразл - расчетная ширина разлива; при одностороннем стеснении потока принимается равной полной ширине разлива, при двустороннем - половине ширины разлива;

a - коэффициент, принимаемый в зависимости от стеснения потока по табл. 9 гл. VIII НИМП-72;

Dhв - предмостовой подпор

                                                    (16)

Здесь vм, vбм - средние скорости потока соответственно под мостом и в части живого сечения на ширине моста при отсутствии стеснения;

К - коэффициент, определяемый по зависимости

                                                    (17)

                                                              (18)

3.6. При косорасположенном пойменном подходе необходимо учитывать продольное стеснение поймы, которое характеризуется коэффициентом продольного стеснения.

                                                      (19)

На поймах с примерно одинаковой шириной, рельефом и ситуацией вдоль расчетного участка верхнего бьефа коэффициент продольного стеснения поймы можно определять по формуле

,                                                  (20)

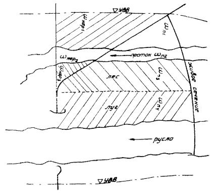
где ωнерi, ωнер - соответственно элементарная и полная площадь нерабочей части поймы между подходной насыпью и створом, совпадающим с осью моста и перпендикулярным направлению пойменного потока в бытовых условиях (рис. 7);

ωni, ωn - соответственно элементарная расчетная площадь вдоль потока и вся расчетная площадь поймы (включая нерабочую часть);

vнерi, vni - средняя скорость нестесненного потока на элементарных площадях соответственно ωнерi и ωni.

В качестве расчетного участка верхнего бьефа при определении коэффициента продольного стеснения поймы принимают зону, ограниченную с низовой стороны створом, совпадающим с осью моста, с верховой - пойменным живым сечением, проходящим через вертикаль с предмостовым подпором или точку пересечения насыпи с УВВ (см. рис. 7), когда это пересечение выше указанного пойменного живого сечения.

Расчет планового положения пойменных живых сечений в верхнем бьефе мостового перехода приведен в п. 3.8.

Расстояние от моста до сечения, где устанавливается предмостовой подпор, определяют по формуле

                                                       (21)

3.7. Пойменные живые сечения в верхнем бьефе мостового перехода имеют криволинейные очертания с выпуклостью, направленной вверх по течению. Отметка уровня воды (УВ) постоянна на всем протяжении пойменного живого сечения.

Рис. 7. Схема к определению продольного стеснения поймы

Радиус кривизны пойменных живых сечений в верхнем бьефе мостового перехода определяют по одной из формул:

                                          (22)

                                                     (23)

где Lм - отверстие моста;

Х - расстояние от оси моста до рассматриваемого сечения (рис. 8);

Qрм - расход воды, проходящей в русловой части отверстия моста

Qрм = Qрб R;                                                            (24)

Qрх - расход воды, проходящей в русле на расстоянии X от оси моста вверх по течению1;

Qрх = gиз Qрм ;                                                 (25)

gиз - коэффициент, учитывающий извилистость русла,

gиз = (1 ÷ 0,85) ;

δиз - коэффициент извилистости русла, равный отношению длины русла S от рассматриваемого сечения до оси перехода к кратчайшему расстоянию Х между этими сечениями русла (см. рис. 8);

ΣQпх - расход в пойменных живых сечениях, находящихся на расстоянии X от отверстия

ΣQпх = Q - Qpх                                                           (26)

1Формула (25) применима при любых получаемых значениях Qрх только для расчета радиусов кривизны пойменных живых сечений. При расчете скоростей на пойме, если по формуле (25) получится Qpх < (0,8 ÷ 0,9) Qрб, то принимают Qpх = (0,8 ÷ 0,9) Qpб.

Рис. 8. Определение коэффициента извилистости русла δиз

Для быстрого определения радиусов кривизны пойменных живых сечений рекомендуется пользоваться графиком (рис. 9).

Рис. 9. График для определения радиусов кривизны пойменных живых сечений r

3.8. Плановое положение пойменных живых сечений на плане участка реки с мостовым переходом определяют в следующей последовательности (рис. 10):

находят на плане положение вертикали по оси русла, расположенной на расстоянии X от моста;

через указанную вертикаль проводят линию АБ, параллельную (или совпадающую) с траекторией поверхностных токов в русле при расчетном паводке1;

1 Предполагается, что траектории поверхностных токов в русле при стеснении и в бытовых условиях практически совпадают.

на проведенной линии откладывают расстояние (в соответствующем масштабе), равное подсчитанному радиусу r; конец отрезка (точка 0) является центром кривой (окружности), по которой описывают пойменное живое сечение на расстоянии X от моста.

Рис. 10. Нанесение пойменного живого сечения на план участка:

1 - пойменное живое сечение на расстоянии X от оси моста; 2 - траектории поверхностных токов в русле

3.9. Для гашения скоростей потока вдоль подходной насыпи на пойме следует применять сплошные прямолинейные незатопляемые траверсы. Их плановые размеры, местоположение и число определяют согласно рекомендациям НИМП-72, а в сложных гидроморфологических условиях - на основе физического моделирования.

Преимущество поперечных сооружений перед укреплением откосов необходимо обосновывать технико-экономическим расчетом.

Для проведения этого расчета необходимо знать:

скорость потока вдоль подходных насыпей в расчетный паводок (при отсутствии поперечных сооружений);

параметры расчетной волны, воздействующей на подходную насыпь, которые определяют согласно СНиП II-57-75 [6].

3.10. Скорости потока вдоль пойменной насыпи определяют в следующей последовательности:

1. По нанесенному на план пойменному живому сечению (согласно п. 3.8) определяют ширину этого сечения Вп (см. рис. 10).

2. Находят отметку свободной поверхности расчетного пойменного живого сечения ПЖСх, расположенного на расстоянии X от оси моста, по формулам:

при Х < Х0

*ПЖСх = УВМ +  X;                                             (27)

при Х ³ Х0

*ПЖСх = УВМ + Dhв -  (X - Х0),                                      (28)

где УВМ - уровень воды в расчетный паводок в створе моста (принимают равным до стеснения).

3. С учетом свободной поверхности живого сечения (постоянной для каждого сечения) определяют среднюю глубину потока в русле на расстоянии X от оси моста Нрх, на бровке русла Нпх и у насыпи hнас (см. рис. 10).

4. Рассчитывают скорость потока на бровке русла

                                                (29)

Вр - ширина русла.

5. Находят расход, проходящий по расчетному пойменному живому сечению шириной Вп

Qпх =  (Q - Qрх),                                                  (30)

где Qп, ΣQп - расходы, проходящее в нестесненных условиях соответственно по рассматриваемой и по обеим поймам.

6. Рассчитывают скорость потока вдоль насыпи на вертикали у ее подошвы с глубиной h в том же живом сечении по формуле

                                            (31)

Если по формуле (31) vнас £ 0, то в этом случае у насыпи будет мертвая зона или обратные течения.

7. Повторяют расчет скорости вдоль насыпи для другого пойменного живого сечения. Скорости на вертикалях между пойменными живыми сечениями находят методом интерполяции.

3.11. Если волновые воздействия являются определяющими при защите подходов (т.е. требуются более мощные укрепления для защиты от волновых воздействий, чем от продольных течений вдоль подходов), то поперечные сооружения устраивать не рекомендуется.

Примечание. Технически нецелесообразным решением является устройство поперечных сооружений у насыпи как профилактическое средство для защиты подхода от руслового потока при плановых деформациях русла в верхнем бьефе мостового перехода.

3.12. Волновые воздействия будут определять мощность укрепления при соблюдении неравенств:

при каменной наброске

                                                          (32)

для плитных укреплений

                                                 (33)

где hв, λ - соответственно расчетные высота и длина волны, определяемые согласно СНиП II-57-75 [6];

m - коэффициент заложения откоса насыпи;

В - длина ребра плиты или карты в направлении образующей откоса;

fm - коэффициент, зависящий от коэффициента заложения откоса насыпи m и коэффициента естественного откоса камня под водой m0,

При m0 = 1,2 значения коэффициента fm можно принимать по табл. 2.

Таблица 2

m

1,5

2,0

2,5

³ 3,0

fm

1,66

1,1

1,0

0,97

3.13. Тип и мощность укрепления откосов подходов назначают в зависимости от скорости потока вдоль насыпи или волновых воздействий.

Определяющее силовое воздействие находят из неравенств (32) - (33).

Укрепление из каменной наброски обычно применяют при расчетных скоростях течения до 3 - 4 м/с и высоте волны до 1,5 м. При больших значениях скорости и высоты волны следует переходить на плитные укрепления.

3.14. При продольных течениях и волновых воздействиях каменную наброску рассчитывают согласно рекомендациям [1, 3, 8].

При защите откосов пойменных подходов от продольных течений каменной наброской в расчетах следует учитывать отсутствие поперечной циркуляции потока на пойме, поэтому устойчивость камней на откосах подходов рассчитывают как для берегов на прямых участках русла.

3.15. По условиям устойчивости толщину железобетонных плит с открытыми швами и карт следует принимать:

при волновом воздействии

;                                          (34)

при обтекании потоком откосов насыпи

,                                               (35)

где gп, g0 - соответственно объемная масса плиты (gп = 2,4 - 2,5 т/м3) и плотность воды;

Кпл - коэффициент, принимаемый в зависимости от стыковки плит: при закрытых швах 0,45 - 0,5, при открытых 0,3 - 0,35.

К расчету принимают наибольшую толщину, определяемую по формулам (34) - (35).

Под сборные плиты с водопроницаемыми швами рекомендуется укладывать двух-трехслойные обратные фильтры из щебня различной крупности каждого слоя. Толщина каждого слоя не должна быть менее 10 - 15 см, а при однослойном фильтре 15 - 20 см. Гранулометрический состав обратных фильтров следует рассчитывать по методу ВНИИГ [9].

3.16. При устройстве укреплений подошва откосов должна укрепляться при условии:

1. Превышения скорости течений вдоль насыпи vнас над размывающей v0 для грунтов поймы

vнас > v0 = 1,15  (hнас d)1/4.                                                 (36)

2. Соблюдения неравенства

                                         (37)

где d - средний диаметр частиц грунта, слагающего пойму, определяют для несвязного грунта по гранулометрическому составу, для связного - по формуле

d = 4,5 (0,15 + Ср) мм.                                                     (38)

Здесь Ср - расчетное сцепление связных грунтов в тс/м2, устанавливаемое по данным испытаний;

ρ - коэффициент, принимаемый в зависимости от пологости волны  (табл. 3).

Таблица 3

λ/hв

8

10

15

20

ρ

1,06

1,24

1,33

1,42

Рис. 11. Значение гиперболической функции

Значение гиперболической функции рекомендуется определять по графику (рис. 11).

Примеры расчета

Пример 1. Определить плановые размеры верховой правобережной дамбы на мостовом переходе через реку с двусторонней поймой и свободно меандрирующим руслом.

Русло и поймы в районе мостового перехода сложены однородным песком со средним диаметром частицей d = 1 мм; бытовой уклон водной поверхности iб = 0,0002. Гидрологические характеристики живого сечения реки в створе мостового перехода при расчетном расходе приведены в табл. 4.

Отверстие моста Lм = 320 м перекрывает русло: 20 м левой и 50 м правой поймы. Правый подход направлен вверх по течению, как показано на рис. 12.

Таблица 4

Участки живого сечения

Расход, м3

Средняя скорость, м/с

Ширина участка, м

Средняя глубина, м

Коренное русло

2630

1,50

250

7,0

Левая пойма

200

0,25

570

1,40

Правая пойма

797

0,35

1200

1,90

Русло и поймы

3627

0,82

2020

-

Рис. 12. План участка реки в районе мостового перехода

I. Определяем по НИМП-72 размеры правосторонней струенаправляющей дамбы при условии, что подход пересекает долину под прямым углом.

Расход, проходящий в бытовом состоянии по правой пойменной части отверстия моста шириной 50 м, равен Qпмб = 50 × 1,9 × 0,35 ≈ 33 м3/с. Поэтому расход на части правобережной поймы, перекрытой насыпью, будет Qпер = 797 - 33 = 764 м3/с.

Находим коэффициент стеснения потока насыпью подхода для двусторонней поймы

По НИМП-72 (табл. 1 гл. X) находим значение коэффициента А = 0,27. Тогда проекция верховой дамбы на ось пути (ширина разворота) равна

bв = АВр = 0,27 × 250 = 62,5 м.

При δ = 0,362 соотношение полуосей дамбы К = 2 (см. гл. X, НИМП-72); проекция верховой дамбы на плоскость, перпендикулярную оси пути (вылет дамбы), будет равна

ав = Кbв = 2 × 62,5 = 125 м.

II. Определяем расход, проходящий в русловой части отверстия моста.

Сначала рассчитываем предмостовой подпор по формуле (16). Для этого находим расход Qм, проходящий при отсутствии стеснения через часть живого сечения, перекрываемую отверстием моста,

Qм = 20 × 1,4 × 0,25 + 2630 + 50 × 1,9 × 0,35 = 2670 м3/с.

Площадь этой части живого сечения

ωм = 20 × 1,4 + 250 × 7 + 50 × 1,9 = 1873 м2.

Средняя скорость потока на ширине моста при отсутствии стеснения

 = 1,43 м/с.

Средняя скорость потока под мостом (до размыва)

 = 1,94 м/с.

При средней скорости по всему живому сечению нестесненного потока vб = 0,82 м/с (см. табл. 4) и расчетной ширине разлива, равной половине полной ширины разлива Lразл =  = 1010 м, по формуле (18) найдем число фруда

F =  = 0,68 × 10-4.

По отношениям  = 1,36 и  = 0,34 определяем по НИМП-72 (см. табл. 9, гл. VIII) значение а = 0,87. Подставляем рассчитанные параметры в формулы (17) и (16) и находим предмостовой подпор

 м.

По формуле (15)

b = 1,52 + 0,87 × 0,82  = 3,25.

Подставляя значения Dhв и b в формулу (14), определяем коэффициент увеличения руслового расхода в отверстии моста

R =  = 1,337.

Расход, проходящий в русловой части отверстия моста, находим по формуле (24)

Qрм = 2630 × 1,337 = 3510 м3/с.

III. Определяем расчетный участок верхнего бьефа, на котором происходит продольное стеснение правой поймы (см. п. 3.6). Сначала находим по формуле (21) расстояние от оси моста до сечения, где устанавливается предмостовой подпор

X0 = 0,87 ´ 0,82  = 512 м.

Так как правобережный подход пересекает УВВ на 800 м выше от оси моста (см. рис. 12), то это пересечение выше пойменного жилого сечения с предмостовым подпором (при X = Х0), и оно определяет расчетный участок верхнего бьефа.

Найдем положение живого сечения на правой пойме, которое проходит через точку А пересечения подхода с УВВ (см. рис. 12).

Предположим, что это сечение находится на расстоянии X = 800 м от оси моста.

По плану находим, что при X = 800 м длина русла от рассматриваемого его сечения до оси моста S = 820 м. Тогда коэффициент извилистости русла δиз =  ≈ 1,0. По формуле (25) находим расход, проходящий в русле на расстоянии X = 800 м от оси моста (принимая gиз = 1),

Qрх = 3510  = 1880 м3/с.

По формуле (26) расход в пойменных живых сечениях, находящихся на расстоянии X = 800 м от отверстия, равен

ΣQпх = (3627 - 1880) = 1747 м3/с.

При  = 0,93 и  = 2,5 по рис. 9 находим  = 3,4 или r = 3,4 ´ 320 = 1090 м.

След пойменного живого сечения с r = 1090 м наносим на план. По плану видно (см. рис. 12), что искомое живое сечение должно находиться выше по течению, чем нанесенное на план.

Задаемся рядом значений Х > 800 м и наносим полученные пойменные живые сечения на план. При X = 1200 м коэффициент извилистости русла равен δиз = 1,1, gиз = .

 м3/с.

Тогда ΣQпх = (3627 - 1320) = 2307 м3/с. По (рис. 9) находим (при  = 1,75 и  = 3,75) r = 6,1 × 320 = 1950 м. Это пойменное сечение в непосредственной близости пересекает УВВ в точке А. Поэтому принимаем его за искомое. Это сечение с верховой стороны ограничивает зону расчетного участка верхнего бьефа.

IV. Определяем часть потока на правой пойме, которую регулирует струенаправляющая дамба.

Предварительно найдем коэффициент продольного стеснения поймы gn. Для упрощения расчетов будем считать, что правая пойма вдоль расчетного участка примерло одинаковой ширины (см. рис. 12). Тогда, определяя на плане ωнер = 0,4 км2 и ωn = 1,24 км2 по формуле (20) найдем

δn =  = 0,323.

По формуле (13) Rn = 0,15 × 0,323 = 0,0485.

При двусторонней пойменной части отверстия расход на правой пойме определяем по формуле (10), в которой

μ = 797 -  3627 = 797 - 132 = 665 м3/с;

ψ =  3627 × 200 = 26400 м62.

Тогда

Qп =  = 332,5 + 290,5 = 623 м3/с.

V. Рассчитываем размеры верховой правобережной струенаправляющей дамбы.

Находим значение параметров  = 0,77 и  = 1,09. По рис. 6 по последнему параметру определим j0 = 1,06, а по первому  = 0,84. Откуда коэффициент уменьшения ширины разворота верховой дамбы bв за счет косины подхода, направленного вверх по течению, равен

j = 1,06 × 0,84 = 0,89.

По формуле (5) при bв = 62,5 м (см. п. 1 примера)

bв = 0,89 × 62,5 = 55,5 м.

При Qпер = Qп - Qпмб = 623 - 33 = 590 м3/с коэффициент стеснения

Согласно НИМП-72 (см. гл. X) при δ = 0,305 соотношение полуосей дамбы К = 1,83. Тогда

а′в = Кbв = 1,83 × 55,5 = 101,5 м.

Как видно из приведенного расчета, при косорасположенном подходе размеры дамб сокращаются (при пересечении подхода долины под прямым углом размеры верховой струенаправляющей дамбы получены bв = 62,5 м, ав = 125 м).

Пример 2. Для условий примера 1 рассчитать скорости вдоль правобережного подхода и определить, какие силовые факторы (волновые воздействия или продольные скорости) являются определяющими при назначении укрепления откосов насыпи. Коэффициент заложения откоса насыпи m = 2, расчетная высота волны hв = 0,30 м, длина λ = 2,8 м.

Определим скорость вдоль насыпи в точке А (см. рис. 12), которую пересекает пойменное живое сечение при X = 1200 м в следующей последовательности.

1. Определяем по плану ширину живого сечения. Получим Вп = 950 м.

2. Находим, насколько отметка уровня в рассматриваемом живом сечении выше уровня до стеснения. Так как 1200 > Х0 = 512 м, то указанное превышение находим из формулы (28)

Dhв -  (X - Х0) = 0,13 -  (1200 - 512) = 0,06 м.

3. Определяем глубины потока: среднюю в русле на расстоянии X = 1200 м от оси моста Нрх, на бровке русла Нпх и у насыпи hнас. Эти глубины потока увеличились по сравнению с бытовыми условиями на 0,06 м. Тогда Нрх = 7,0 + 0,06 = 7,06 м, Нпх = hнас = 1,9 + 0,06 = 1,96 м (в примере принято, что отметки поверхности участка поймы практически одинаковые).

4. Рассчитываем по формуле (29) скорости потока на бровке русла с глубиной Нпх = 1,96 м.

Предварительно по формуле (25) определим расход в русле на расстоянии X = 1200 м от моста. По расчету получаем (см. п. III примера 1) Qpx = 1320 м3/с, что меньше 0,8Qрб. Поэтому принимаем: Qpx = 0,8Qpб = 0,8 × 2630 = 2100 м3/с;

5. Находим по формуле (30) расход, проходящий по живому сечению на правой пойме

Qпx =  (3627 - 2100) = 1220 м3/с.

6. Рассчитываем по формуле (31) скорость течения вдоль насыпи в точке А

vнас = 2  0,505 = 1,31 - 0,505 = 0,8 м/с.

Таблица 5

Х, м

Расход в русле, м3

Радиус кривизны живых сечений r, м

Подъем уровня при стеснении, м, по формуле (28)

Ширина живого сечения Вп, м

Глубина потока, м

vn(бр), м/с, по формуле (29)

Qпх, м3/с, по формуле (30)

vнас, м/с, по формуле (31)

по формуле (25)

принятый при расчете скоростей

Нрх

Нпх = hнас

800

1800

2100

1090

0,10

850

7,10

2,0

0,51

1220

0,93

512

2170

2170

670

0,13

650

7,13

2,03

0,53

1163

1,24

250

2630

2630

272

0,06

430

7,06

1,96

0,63

800

1,27

Аналогично определяем скорости вдоль насыпи в других точках (табл. 5). К расчету принимаем наибольшую полученную скорость вдоль насыпи vнас = 1,27 м/с при глубине потока hнас = 1,96 м.

Теперь выявим определяющий силовой фактор. При paсчетной скорости потока v = 1,27 м/с укрепление откосов насыпи возможно каменной наброской. Поэтому используем неравенство (32). Правая часть неравенства равна 1,1  1,1 ≈ 0,017, что меньше высоты волны hв = 0,3 м. Отсюда видно, что волновые воздействия определяют мощность укрепления.

Проверим, требуется ли укреплять подошву откоса.

Размывающая скорость по формуле (36) равна

v0 = 1,15  (1,96 × 0,001) 1/4 = 0,76 м/с < vнас = 1,27 м/с.

Следовательно, необходимо укреплять подошву насыпи из-за превышения скорости течения вдоль насыпи над размывающей (в расчете дерновой покров не учтен).

По формуле (38) проверяем необходимость устройства укрепления подошвы откоса по волновым воздействиям.

Из графика (11) при  = 0,7  = 59. Определим правую часть неравенства (37)

Левая часть неравенства (37)  < 1,27, т.е. укреплять подошву необходимо только от воздействия потока, направленного вдоль насыпи.

4. РЕГУЛИРОВАНИЕ РУСЛОВОГО ПОТОКА

4.1. Регулирование руслового потока в районе мостового перехода имеет целью предотвратить деформации, которые могут привести к нарушению нормальной работы перехода.

К основным мероприятиям по регулированию руслового потока на мостовых переходах через меандрирующие русла относятся: спрямление русла и отвод протоков в русле реки; предотвращение плановых деформаций русла в районе мостового перехода.

4.2. Необходимость в спрямлении русла возникает при расположении моста на спрямляющем протоке (при незавершенном и свободном меандрировании и отводе русла с целью выключения излучины, угрожающей подходам (рис. 13).

Примечание. Спрямление излучин русла в районе мостового перехода иногда производят с целью ликвидации условий образования заторов льда при ледоходе в сильно развитых излучинах.

При пересечении трассой мостового перехода протоков последние должны отключаться перед подходной насыпью и отводиться в русло.

Примечание. Подходы к мостам могут пересекать староречья, ложбины между старыми прирусловыми валами и другие пониженные места, в которых накапливаются талые и грунтовые воды. Если при этом паводочные воды заболачивают эксплуатируемые пойменные земли, то в проекте должны быть предусмотрены водоотводы из пониженных мест.

Рис. 13. Схема спрямлений излучен русла:

а - спрямляемая излучина, угрожающая пойменной насыпи; б - расположение моста на спрямленном русле: 1 - спрямление; 2 - запруда; 3 - укрепление берега: 4 - граница разлива при УВВ

Предотвращение деформаций русла (в плане) обеспечивается укреплением берегов и устройством поперечных сооружений. Длину участка защитного фронта назначают согласно рекомендациям НИМП-72, а в сложных условиях - на основе физического моделирования.

Для сокращения затрат на регулирование потока в меандрирующих руслах следует комбинировать поперечные сооружения и укрепления берегов, применяя последние вблизи перехода.

4.3. Спрямление русла следует проектировать шириной Вспр и глубиной Нспр в пойменных бровках соответственно равными:

Вспр = Вр ´ Кспр;                                                        (39)

Нспр = Нр Кспр;                                                         (40)

Вспр = ,                                                    (41)

где Вр, Нр - соответственно ширина и средняя глубина русла в его пойменных бровках;

nиз, nспр - коэффициенты шероховатости русла соответственно в пределах излучины и спрямленного русла;

Lиз, Lспр - длина русла соответственно по излучине и на спрямленном участке.

Прямолинейный участок спрямленного русла сопрягается с бытовым руслом по круговым кривым, радиус которых на несудоходных и несплавных реках должен быть больше 3,5 Вспр, на судоходных и сплавных - не менее 5 Вспр.

Примечание. Заменять спрямление русла устройством пионерной траншеи не рекомендуется вследствие возможного неорганизованного размыва прорези.

Для заиления выключенной излучины русла на уровне бровок русла устраивают перемычки - массивные запруды в начале и конце спрямленной излучины.

На несудоходных и несплавных реках, когда отверстие располагают не на спрямлении, перемычку разрешается устраивать только в нижнем по течению участке спрямляемой петли.

Рекомендации по размещению запруд даны в работе [1].

4.4. С целью сокращения объема работ отвод из протока в русло рекомендуется рассчитывать с учетом саморазмыва пионерной траншеи.

Размеры пионерной траншеи выбирают согласно рекомендациям работы [1].

4.5. Для отжима руслового потока от вогнутого берега следует применять поперечные сооружения, состоящие обычно из полузапруд и шпор, выступающих от берега в русло реки и отжимающих поток от берегового откоса.

На реках с интенсивным ледоходом, где возможно образование заторов льда, применять поперечные сооружения не рекомендуется.

Полузапруды представляют собой массивные сооружения (обычно из каменной наброски), затопляемые при паводках, проходящих в бровках русла. Их проектируют с наклоном от берега к руслу участками крутизной от 1 : 2,5 до 1 : 300 (рис. 14, а).

Рис. 14. Схема защиты размываемого берега полузапрудами:

а - продольный профиль полузапруды; б - план расположения полузапруд: 1 - укрепление камнем сопряжения корня полузапруды с берегом; 2 - корневая часть полузапруды; 3 - русловая часть полузапруды; 4 - укрепление основания русловой части полузапруды тюфяком; 5 - оси полузапруд; 6 - направление поверхностных струй; 7 - линия защищаемого берега; 8 - направление донных струй; m1 = 20 - 25; m2 = 100 - 300; m3 = 2,5 - 3

В плане затопляемые полузапруды располагают с наклоном вверх по течению с углом наклона от нормали к касательной, проведенной в точке корня полузапруды, a равным от 15 до 30° (рис. 14, б).

Длину полузапруд назначают по местным условиям, но не более 0,3 ширины меженного русла.

Расстояние между полузапрудами принимают не более двойной их длины.

Шпоры проектируют массивными и сквозными, незатопляемыми при паводках, проходящих в бровках русла. Размеры шпор, их положение в плане, а также глубины воронок размыва в голове шпор рекомендуется назначать и определять согласно рекомендациям НИМП-72, а в сложных гидроморфологических условиях - по результатам физического моделирования.

Типы поперечных сооружений следует выбирать на основе технико-экономического сравнения.

4.6. Тип и мощность укрепления голов поперечных сооружений и откосов берегов на участке защитного фронта необходимо рассчитывать с учетом воздействия водного потока и льда. Область применения основных типов укрепления с краткой их характеристикой приведена в табл. 6. Расчет наиболее распространенного типа укрепления - каменной наброски - на воздействия течения выполняют согласно рекомендациям работ [1, 3, 8].

Таблица 6

Вид укрепления

Основные особенности и условия применения

Допустимые значения

скорости течения, м/с, при глубине потока у сооружений от 1 до 4 м

воздействия льда

Периодически подтопляемые откосы

Каменная наброска

Использование местных материалов. Простота исполнения и ремонта, возможна механизация. Значительный расход камня (особенно горной массы). Применяется в районах при наличии местного камня

 

Толщина льда и навалы ледяного поля не вызывают значительных повреждений. Разрушается от воздействия припая при изменении уровня воды

При крупности однородного камня или горной массы:

 

 

0,15 м

2,2 - 3,5

 

0,5 м

3,0 - 4,5

 

Габионы

Возможность использования низкосортного камня. Малый срок службы (из-за коррозии и разрыва сетки) 5 - 12 лет

До 6,0

Наличие льда сокращает срок службы покрытия

Сборные железобетонные разрезные плиты

Гибкие индустриальные конструкции. Требуют устройства обратных фильтров. Допускают деформации откоса. При наибольшей толщине 20 см и длине ребра плиты до 3 м

До 4,0

До 0,6 м при крутизне откоса m = 2

Сборные железобетонные плиты, омоноличенные по контуру

Индустриальность конструкций. Отсутствие обратных фильтров (укладываются на подготовку из щебня и гравия). Применяют при воздействиях, при которых не обеспечивается устойчивость разрезных плит. При наибольшей толщине до 25 см и длине ребра карты до 20 м в направлении, перпендикулярном линии уреза

До 3,5

До 0,80 м при m = 2

Монолитные железобетонные плиты

Целесообразно применять при малых объемах работ, криволинейных участках или в сложных гидрологических условиях. При толщине до 0,5 м и ширине ребра до 15 м

До 6,0

До 1,4 м при m = 2

Подводные откосы и основания сооружений

Хворостяные и камышитовые тюфяки

Большие трудозатраты по изготовлению тюфяка и значительный расход камня для пригрузки. Применяются при наличии местных материалов на участках, находящихся все время под водой

До 2,0

-

Тонкие гибкие покрытия (железобетонные и асфальтобетонные) толщиной 5 см

Индустриальность изготовления и полная механизация процесса укладки в «воду»; грунтонепроницаемость. На откосе применяются на подготовке

До 1,5

0,2 м

Толщину плитных укреплений для защиты берегов и поперечных сооружений от воздействия водного потока определяют по формуле (35).

При воздействии льда толщину плитных укреплений (на откосах с коэффициентом заложения m > 1,5) для предварительных расчетов можно определять по формуле

,                                                           (42)

где hл - расчетная толщина льда, определяемая согласно НИМП-72.

4.7. Для расчета укреплений вогнутых берегов излучин необходимы следующие исходные гидроморфологические данные:

средняя ширина Вбр, скорость v и средняя глубина Н в бровках излучины;

средняя глубина у вогнутого берега Нср, и средний радиус кривизны Rс по оси излучины;

наибольшая (расчетная) глубина в бровках h у вогнутого берега и соответствующая скорость потока vu на этой вертикали.

Указанные исходные материалы желательно получать по данным топогеодезических и гидрометрических работ.

Для предварительных расчетов допускается определять гидроморфологические параметры потока аналитическим путем:

радиус кривизны излучины в створе наибольшей глубины

,                                                               (43)

где au - расстояние от середины шага λu излучины до ее вершины;

скорость у вогнутого берега на вертикали с наибольшей глубиной

vu = vu Kr,                                                                (44)

где Kr - коэффициент увеличения скорости потока у подошвы откоса вогнутого берега по сравнению со средней скоростью в том же створе, определяемый по табл. 7 или по формуле

,                                                           (45)

где .

Наибольшую глубину в бровках русла у вогнутого берега можно определять по табл. 7 в зависимости от отношения Bбр/Rc.

Таблица 7

0,10

0,17

0,20

0,25

0,35

0,50

0,60

1,32

1,48

1,84

2,20

2,64

3,0

3,2

Кr

1,14

1,17

1,33

1,42

1,59

1,84

2,02

4.8. При проектировании укреплений следует учитывать, что в связи с предотвращением естественного хода руслового процесса по подошве укрепленного откоса возникают размывы.

Глубину воронки размыва, считая от поверхности подошвы вогнутого берега, определяют по формуле

Dh = ηH - h,                                                             (46)

где η - отведение глубины потока у вогнутого берега после размыва hmax к средней глубине потока Н в рассматриваемом створе излучины, определяемое по формуле

η = 0,67 еМs.                                                               (47)

Здесь

;                                                (48)

М - коэффициент формы укрепления, равный единице для укреплений откосного типа без фундамента (например, каменная наброска) и вертикальных стенок или других подобных укреплений с крутизной относа m £ 0,5, и М = 1,2 для откосного типа укреплений при m > 0,5 с вертикальной внешней гранью фундамента (к такому укреплению относятся, например, подпорные стены с противоразмываемым зубом или глубоким фундаментом);

vc - размывающая скорость для грунтов, слагающих русло, при средней глубине потока излучины Н; определяют по формуле (36);

R =  + Rс - радиус кривизны излучины вогнутого берега;

n - коэффициент шероховатости укрепления, определяемый в зависимости от материала укрепления:

Материал укрепления                                                     Коэффициент

шероховатости

Бетонная затертая поверхность...................................................... 0,011 - 0,015

Кирпичная кладка, покрытая цементным раствором................... 0,012 - 0,017

Бетонная неотделанная поверхность............................................. 0,013 - 0,020

Бутовая кладка.................................................................................. 0,018 - 0,030

Габионная кладка............................................................................. 0,025 - 0,030

Каменная наброска.......................................................................... 0,030 - 0,045

Для быстрого определения  рекомендуется пользоваться графиками (рис. 15 и 16).

Пример. Определить наибольшую глубину размыва у вогнутого берега излучины, укрепленного каменной наброской. Каменная наброска укладывается с откосом m = 2,5. По карте определили ширину излучины в бровках Bбр = 75 м со средним радиусом кривизны Rс = 200 м.

Русло со средней глубиной в бровках Н = 1,8 м пропускает расход Q = 300 м3/с. Русло сложено песком с примесью гравия; средний диаметр грунта d = 6 мм.

По рис. 15 определяем коэффициент s. Предварительно для каменной наброски принимаем n = 0,04.

Средняя скорость потока в излучине

 = 2,22 м/с.

По формуле (36) размывающая скорость

v0 = 1,15  1,81/4 × 0,0061/4 = 1,16 м/с.

При n (1 + m) = 0,04 (2,5 + 1) = 0,14;  = 2,67 и  = 1,92 по рис. 15 s = 1,64.

С учетом того, что для каменной наброски коэффициент формы М = 1 по рис. 16 определим η = 3,45.

По табл. 7 при  = 0,375 (по интерполяции между  = 0,35 и  = 0,5) находим  = 2,7. Отсюда наибольшая глубина потока у вогнутого берега до устройства укрепления h = 1,8 × 2,7 = 4,85 м.

Рис. 15. Номограмма для определения s

По формуле (46) получим глубину воронки размыва у укрепления

Dh = 3,45 × 1,8 × 4,85 = 1,35 м.

Рис. 16. График для определения η

Приложение

ПРИЗНАКИ И ОСОБЕННОСТИ МЕАНДРИРУЮЩИХ РУСЕЛ

Меандрирование русел возникает на участках равнинных рек с достаточно широкими поймами и хорошо размываемыми грунтами, подстилающими долину.

Под меандрированием понимается процесс изменения планового очертания русла, которое характеризуется следующими параметрами:

au - угол разворота излучины, равный сумме углов входа и выхода из излучины au = aвх + aвых;

S - длина излучины, равная расстоянию между верховой и низовой точками перегиба излучины вдоль средней линии русла;

λu - шаг излучины, равный кратчайшему расстоянию между верховой и низовой точками перегиба (по оси русла);

ru - радиус кривизны, измеряемый в случае асимметричного развития излучины отдельно для участка каждой плесовой лощины.

Гидравлические характеристики потока, морфологические особенности русла и долины определяют интенсивность и закономерности плановых переформирований русла, т.е. тип руслового процесса. По классификации Государственного гидрологического института (ГГИ) различают три типа меандрирования русла: свободное, незавершенное и ограниченное.1

1 В литературе встречается четвертый тип меандрирования русла - вынужденное, когда русло зажато с двух сторон неразмываемыми бортами долины и повторяет поэтому все повороты узкой долины.

Свободное меандрирование русла наблюдается на сравнительно небольших равнинных реках, имеющих широкие поймы, при которых ширина долины превышает ширину пояса меандрирования, т.е. ширину поля, ограниченного линиями, соединяющими вершины одинаково направленных излучин.

Характерная особенность свободного меандрирования состоит в том, что каждая излучина проходит определенный цикл развития. В начальный период еще слабо выраженная излучина имеет тенденцию сползать вниз без изменения своей формы. Но этому препятствуют выше и ниже расположенные излучины. Поэтому процесс плановых деформаций происходит за счет разворота излучин вокруг точек перегиба оси русла (рис. 1). В результате угол разворота au увеличивается и излучина принимает округлые очертания. Вследствие разворота верховой и низовой излучин происходит сближение их вогнутых берегов. В один из паводков при выходе воды на пойму происходит прорыв излучин в месте кратчайшего расстояния между ними (перешейком). Средняя излучина отделяется от нового русла, образуя старицу, которая имеет в плане характерную серповидную форму. Наличие на пойме большого количества стариц серповидной формы (см. рис. 1) является отличительной особенностью рек со свободным меандрированием.

Сравнительно узкая долина с трудно размываемыми берегами ограничивает развитие излучин. В этих случаях тип руслового процесса, протекающего в русле, называется ограниченным меандрированием. При этом типе руслового процесса русло имеет слабо извилистую форму с углом разворота au не более 70°, основные переформирования русла заключаются в сползании излучин вниз по течению без существенных их плановых очертаний и размеров (рис. 2).

Незавершенное меандрирование наблюдается на реках, имеющих широкую и часто затопляемую пойму. На таких реках излучина развивается по типу свободного меандрирования, но спрямление излучин возникает на более ранней стадии их развития (при угле разворота au = 140° - 160°). Таким образом, разрушение перешейка петли в результате непосредственного сближения вершин двух смежных излучин в этом случае не наблюдается.

Рис. 1. План свободно меандрирующего русла:

а - участок долины; б - характерная излучина; 1 - излучины русла; 2 - старицы; 3 - прирусловые валы; 4 - границы поймы; 5 - перекаты; 6 - плесовые лощины; 7 - начальное положение вогнутых берегов; 8 - то же после смещения; 9 - направление будущего спрямления центральной излучины

Рис. 2. План ограниченно меандрирующего русла:

1 - борт долины реки; 2 - пойменные массивы; 3 - перекат; 4 - плес

Образование спрямляющего протока приводит к разветвлению реки на два рукава (рис. 3). По мере развития спрямляющего протока в него начинает поступать все большая часть расхода воды и он превращается в главное русло.

Рис. 3. План русла реки при незавершенном меандрировании:

а - участок долины; б - характерная излучина

Тип руслового процесса может быть определен как по внешним указанным признакам (по картам и планам), так и по гидрологическим характеристикам русла и долины. Так, участок долины с ограниченно меандрирующим руслом обычно положе, чем при свободном меандрировании. При увеличении уклона свободное меандрирование переходит в следующий тип руслового процесса - незавершенное меандрирование. В такой же последовательности наблюдается переход от ограниченного к свободному и незавершенному меандрированию с увеличением расхода воды. Количественная связь между типами руслового процесса и факторами руслообразования может быть представлена в виде

i = N,

где Q - средние из годовых максимумов расходов воды (повторяемостью 50 %);

i - уклон долины;

N - критериальный параметр; для незавершенного меандрирования N = 1,5 - 0,3; для свободного N = 0,30 - 0,04.

Величина критериального параметра не может достаточно полно характеризовать тип руслового процесса при ограниченном меандрировании, так как определяющим фактором ограниченного меандрирования является ширина долины. Следует при этом отметить, что при наличии на участке долины модификаций меандрирования русла будет сохраняться тенденция уменьшения критериального параметра при ограниченном меандрировании.

СПИСОК ЛИТЕРАТУРЫ

1. Рекомендации по регулированию потока на мостовых переходах через реки с осередковым типом руслового процесса (островного типа). М., ЦНИИС, 1977.

2. Попов И.В. Деформации речных русел и гидротехническое строительство. Л., Гидрометиздат, 1969.

3. Бегам Л.Г., Алтунин В.С., Цыпин В.Ш. Регулирование водных потоков при проектировании дорог. М., «Транспорт», 1977.

4. Наставление по изысканиям и проектированию железнодорожных и автодорожных мостовых переходов через водотоки (НИМП-72). М., «Транспорт», 1972.

5. Ротенбург И.С., Вольнов В.С., Поляков М.П. Мостовые переходы. М., «Высшая школа», 1977.

6. Строительные нормы и правила ч. II. Нормы проектирования. Гл. 57. Нагрузки и воздействия на гидротехнические сооружения (волновые, ледовые и от судов). СНиП II-57-75. М., Стройиздат, 1976.

7. Указания по проектированию гидротехнических сооружений, подверженных волновым воздействиям. СН 288-64. М., Стройиздат, 1965.

8. Волченков Г.Я., Цыпин В.Ш. Расчет укреплений откосов сооружений и берегов каменной наброской. - «Транспортное строительство», 1978, № 1.

9. Инструкция по проектированию обратных фильтров гидротехнических сооружений. М-Л., «Энергия», 1965.

СОДЕРЖАНИЕ

 



© 2013 Ёшкин Кот :-)